26 januari 2024
Om de concurrentiepositie van Suriname te versterken, worden er verbeteringen aangebracht aan de economisch relevante infrastructuur op en rondom de Dr. Jules Sedney Haven. In 2023 informeerden wij u dat zowel de faciliteiten op de haven als het primaire wegennet in de nabijheid van de haven worden geoptimaliseerd.
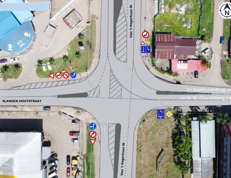
De vervanging van de zestig jaar oude brug in de van 't Hogerhuysstraat over het Saramaccakanaal vormt daar onderdeel van. De brug voldoet niet aan de hedendaagse eisen van verkeer en veiligheid en wordt vervangen door een volledig nieuwe constructie.
Om dit te realiseren zal de brug vanaf 28 februari 2024 voor meerdere maanden niet beschikbaar zijn voor verkeer. Tijdens deze afsluiting zal het verkeer gebruikmaken van overige bruggen over het kanaal. De Beekhuizenbrug en de Saronbrug zijn de dichtstbijzijnde alternatieven.

De omleiding via de Beekhuizenbrug wordt via verkeersborden langs de betreffende wegen aangegeven:
Noordgaand verkeer: Vanuit de MLK-weg ("Highway") rechtsaf in de Latourweg, Aitkantiweg, P.P. Tewarieweg en linksaf in de Sr. Winston Churchilweg, over de Beekhuizenbrug tot aan de van 't Hogerhuysstraat
Zuidgaand verkeer: Vanuit de van 't Hogerhuysstraat linksaf in the Sir Winston Churchilweg, over de Beekhuizenbrug, rechtsaf in de P.P. Tewarieweg, Aitkantiweg, Latourweg tot aan de MLK-weg ("Highway").
Aan ZUIDGAAND verkeer wordt geadviseerd:
Aan weggebruikers wordt gevraagd rekening te houden met bovenstaande bij het bepalen van de reisroute. Langere reistijden worden verwacht in de betreffende omgeving tijdens spitsuren.
Wij vragen begrip over het eventueel ontstane ongerief.
Tijdens de herbouw van de brug in de van 't Hogerhuysstraat wordt verkeer omgeleid via de andere bruggen over het kanaal. Om de doorstroming van het omgeleide verkeer te bevorderen wordt o.a. de volgende maatregel getroffen. Vanaf 28 februari 2024 wordt het kruispunt met de Slangenhoutstraat heringericht conform bijgevoegde illustratie. De belangrijkste veranderingen zijn:
Aan weggebruikers wordt gevraagd rekening te houden met deze herinrichting bij het bepalen van de reisroute.
